
Liebe Leser und Tierliebhaber,
wir tun es nicht so gerne, aber wir müssen es tun, immer wieder um Spenden bitten, denn alleine und ohne Sie schaffen wir es nicht, all den Hunden zu helfen, die schwer krank sind und dadurch hohe Tierarztkosten verursachen.

Es gibt auf unserer Seite beispielsweise Keesha, Tyra und Jasper - alle drei Hunde aus jüngster Zeit und mit großen gesundheitlichen Problemen die von guten Tierärzten lang- oder kurzfristig zu behandeln sind. Diese drei Hunde sind teilweise in Deutschland, teilweise auf Zypern und stehen auch für viele andere Hunde, die schon Hilfe durch uns bekommen.
| |
|
|
|
|
||
| |
|
|
|
|
||
|
Der kleine KEESHA - ihm fehlt beispielsweise ein Stück seines rechten Vorderlaufs und möglicherweise hilft ihm für die Zukunft eine Orthese, das muss allerdings in Deutschland von einem Tierarzt erst einmal eingeschätzt werden und dann braucht man ein Fachgeschäft, welches diese Orthese für Keesha anfertigt. Wir wollen Keesha helfen und übernehmen diese Kosten gerne. |
||
| |
||
|
|
||
![]() |
![]() |
|
| Tyras Seite -hier klicken- | ||
|
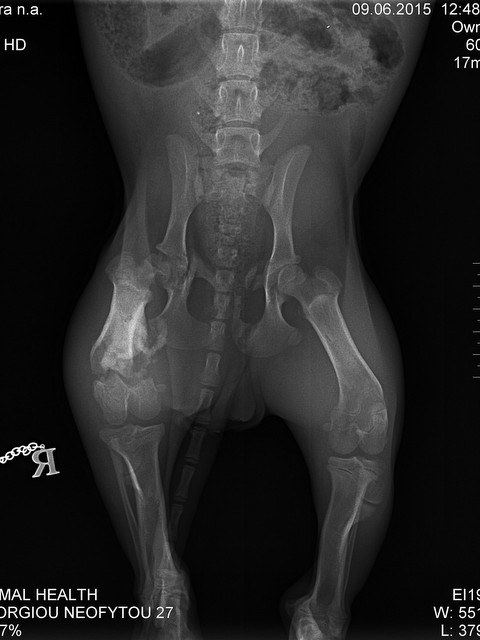
Die ebenfalls noch sehr junge TYRA - sie hat ein gebrochenes Beinchen und die rechte Hüfte ist gebrochen, das Beinchen wurde bereits auf Zypern versorgt, doch die Hüfte muss noch operiert werden. Tyra hat ihr liebevolles Zuhause zwar schon gefunden, aber wir wollen diese Operationskosten auf jeden Fall gerne übernehmen.
|
||
| |
||
|
|
||
| Jaspers Seite -hier klicken- | ||
| Noch ein junger Hund - JASPER - wurde von einem Auto angefahren und hat ein gebrochenes Beinchen, das der Tierarzt auf Zypern nicht operieren kann. Die Tierarzthelferin hat sich schützend vor ihn gestellt, damit er nicht eingeschläfert wird und nun lebt er in einem kleinen Käfig. Wir möchten die Operationskosten für Jasper gerne übernehmen und auch hierzu benötigen wir dringend Ihre Hilfe, damit Jasper bald operiert werden kann, bevorzugt in Deutschland. Jasper sucht auch noch ein endgültiges Zuhause bzw. eine liebevolle Pflegestelle in der er genesen kann. |
||
|
Vielleicht spricht Sie das Schicksal dieser Fellnasen an und Sie wollen uns etwas unterstützen, dann bitten wir um Überweisung auf unser Spendenkonto:
|
||
| |
||
| {jcomments on} | |


